


Moraira, Costa Blanca
Ontdek de charme van wonen aan de Mediterranee in Moraira, Arnella. Een ruim perceel van 1.600 m² biedt een unieke kans voor renovatie of nieuwbouw, vlakbij het strand en het gezellige centrum.
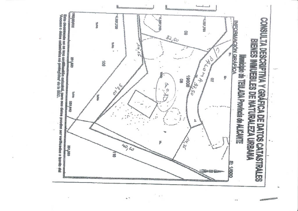
Deze traditionele villa ligt op een royale kavel van meer dan 1.600 m² in de prestigieuze buurt Arnella van Moraira. Het biedt volop mogelijkheden om uw droomhuis te creëren, of u nu kiest voor een volledige renovatie of nieuwbouw. Geniet van rust en privacy te midden van de natuur, op slechts 2 km van het idyllische strand El Portet en 3 km van het bruisende centrum van Moraira. Dit is een ideale investering voor bouwers, investeerders of iedereen die op zoek is naar een tweede woning in Spanje. Hier haalt u het beste van de Costa Blanca binnen handbereik: prachtige stranden, sfeervolle restaurants en exclusieve winkels.
Moraira staat bekend om zijn aantrekkelijke mix van rust en levendigheid, perfect voor een tweede woning of investering. De Costa Blanca biedt niet alleen schitterende stranden maar ook een uitstekende infrastructuur en een mild klimaat. Alicante, dichtbij gelegen, combineert cultuur met moderne voorzieningen en goede verbindingen. Spanje zelf is een populaire bestemming die garant staat voor een ontspannen mediterrane levensstijl met veel zon, gastronomie en natuur.
Bij ons betaalt u als koper géén provisie voor onze diensten als aankoopmakelaar. Wij behoren tot de weinige gecertificeerde aankoopmakelaars in Spanje en hebben meer dan 15 jaar ervaring. Al talloze cliënten hebben wij mogen helpen hun Spaanse droomhuis te vinden.
Een huis kopen - of het nu een tweede woning of investering is - doet u niet elke dag. Daarom bieden wij persoonlijke begeleiding tijdens het hele aankoopproces. Of u nu op zoek bent naar het perfecte vakantiehuis of een slimme investering: wij staan voor u klaar. Van het vinden van uw droomwoning tot het regelen van financiering en advies over de juiste notaris. Wij zijn er voor u.
Deze traditionele villa ligt op een royale kavel van meer dan 1.600 m² in de prestigieuze buurt Arnella van Moraira. Het biedt volop mogelijkheden om uw droomhuis te creëren, of u nu kiest voor een volledige renovatie of nieuwbouw. Geniet van rust en privacy te midden van de natuur, op slechts 2 km van het idyllische strand El Portet en 3 km van het bruisende centrum van Moraira. Dit is een ideale investering voor bouwers, investeerders of iedereen die op zoek is naar een tweede woning in Spanje. Hier haalt u het beste van de Costa Blanca binnen handbereik: prachtige stranden, sfeervolle restaurants en exclusieve winkels.
Moraira staat bekend om zijn aantrekkelijke mix van rust en levendigheid, perfect voor een tweede woning of investering. De Costa Blanca biedt niet alleen schitterende stranden maar ook een uitstekende infrastructuur en een mild klimaat. Alicante, dichtbij gelegen, combineert cultuur met moderne voorzieningen en goede verbindingen. Spanje zelf is een populaire bestemming die garant staat voor een ontspannen mediterrane levensstijl met veel zon, gastronomie en natuur.
Spreek een tijd af voor een live video met de makelaar en bekijk de woning vanuit uw woonkamer!


Bij ons betaalt u als koper géén provisie voor onze diensten als aankoopmakelaar. Wij behoren tot de weinige gecertificeerde aankoopmakelaars in Spanje en hebben meer dan 15 jaar ervaring. Al talloze cliënten hebben wij mogen helpen hun Spaanse droomhuis te vinden.
Een huis kopen - of het nu een tweede woning of investering is - doet u niet elke dag. Daarom bieden wij persoonlijke begeleiding tijdens het hele aankoopproces. Of u nu op zoek bent naar het perfecte vakantiehuis of een slimme investering: wij staan voor u klaar. Van het vinden van uw droomwoning tot het regelen van financiering en advies over de juiste notaris. Wij zijn er voor u.